庭木図鑑 植木ペディア > コウゾ
コウゾ/こうぞ/楮
Paper mulberry
【コウゾとは】
・中国を原産とするカジノキ科の落葉樹でヒメコウゾとカジノキの雑種とされる。7世紀初頭に紙と共に日本へ渡来し、製紙用に栽培されていたものが野生化した。今日では本州から沖縄まで日本各地の山地に見られる。
・コウゾという名前の由来は、神に献じる布(紙衣あるいは神麻=かみそ)の材料にしたことにちなむとする説、紙と布の原料になることを意味する「紙麻(かみお)」が転じてコウゾになったとする説がある。
・樹皮は強靭な繊維を持ち、最高級の和紙を作る材料として知られる。このため江戸時代にコウゾは、クワ、ウルシ、チャと並ぶ「産業の四木」とされ栽培が進んだ。現代でも和紙の原料に使われるが、その多くは外国産による。
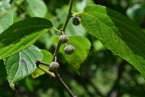
・葉は長さ10~20センチで枝から互い違いに生じる。他のクワ類同様に、葉の形は場所や環境によって様々に変わるが、若木の多くは画像のような切れ込みが入り、木が古くなると葉は小型化する。葉の表面には毛があり、手で触れるとザラザラする。
・コウゾの開花期は葉の展開と同じ4~5月。雌雄異株であり、クリーム色の雄花は若い枝の付け根に集まって咲き、緑色の球形をした雌花は、その上部の枝に咲く。雄花も雌花も小さな花が球形に集まってできているが、雌花には赤紫の毛が生えているように見え、雌雄の雰囲気はだいぶ異なる。
・雌花の後には球形の果実ができ、6月頃に熟す。キイチゴのような外見だが甘味があり、生で食べることができる。ただし結実はクワほど多くない。
・製紙用に栽培する場合、枝を伐採しやすいよう低く管理するが、放置すれば樹高は5m、幹の直径は20センチ程度まで育つ。繊維はミツマタやガンピよりはるかに長く、手漉きの場合はそれらよりも優れる。また、古い時代には布(太布、栲など)を織ることにも使われた。
【コウゾの育て方のポイント】
・日向を好むが半日陰程度なら問題なく育つ。
・丈夫な性質を持ち、水はけと風通しが良ければ、ほとんど手をかける必要はない。
・自然樹形は株立ち状で、剪定もこれに倣って行う。
【コウゾの品種】
・斑入りコウゾ
葉に白い模様が入る品種で、園芸用として稀に流通する。
【コウゾに似ている木】
・カジノキ
コウゾより葉や実が大きい。
・マグワ
養蚕に使われた、いわゆる桑の木。中国等を原産とする。
・ツルコウゾ(ムキミカズラ)
九州の山地に多い品種で、枝が蔓状になる。別名は実が露出するようにできることから。これも繊維が強く、和紙の原料に使われる。
コウゾの基本データ
【分類】クワ科/カジノキ属
落葉広葉/低木
【漢字】楮(こうぞ)
【別名】ヒメコウゾ
【学名】Broussonetia
kazinoki Sieb.
【英名】Paper mulberry
【成長】早い
【移植】簡単
【高さ】2m~6m
【用途】公園
【値段】1500円~
庭木図鑑
植木ペディア

















