庭木図鑑 植木ペディア > ホルトノキ
ホルトノキ/ほるとのき/膽八樹
Horutonoki tree
【ホルトノキとは】
・千葉県南部以西の本州、四国、九州及び沖縄に分布するホルトノキ科の常緑樹。自生は沿海地の林内に多く、日本以外では台湾やインドネシアに見られる。
・「ホルトノキ」は「ポルトガルの木」の意で、元来はオリーブを指していたが、江戸時代中期の博物学者である平賀源内がオリーブと似たような果実を付ける本種をオリーブと誤認した、あるいは本種からポルトガルの油(=オリーブオイル)が採取できると勘違いしたことにより誤用が始まった。葉や木全体の様子はオリーブと全く異なる。
・庭木としての利用はそれほど多くないが、街路、公園で稀に植栽され、栗林公園にある大きなホルトノキが有名。クスノキやヒトツバタゴなどと共に「ナンジャモンジャの木」と呼ばれる木の一つであり、寺社に植えることもあるが、常緑樹としては葉の色が明るく、庭の雰囲気が暗くなりにくいため、洋風の庭でもよく合う。
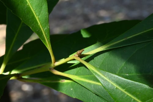
・葉は革質の長楕円形で、長さ5~12センチ、幅2~4センチほど。先端は尖り、縁には鈍いギザギザが点在する。表面は光沢のある濃緑色だが、裏面は淡い緑色で、隆起する葉脈は紅紫を帯びる。
・ホルトノキの最大の特徴は、古くなると真っ赤に色付く葉。別名「ズクノキ」は「色付く」に由来するという。この赤い古葉はほぼ一年中見られるが、新緑の時季は新葉の緑とのコントラストが美しい。
・葉の主脈、柄、若枝は紅紫色になり、紫鼠色あるいは黄茶色の染料となる。
・ホルトノキの開花は6~8月で、前年に伸びた枝葉の脇から長さ4~12センチの花茎を出し、白い小花を10~20輪ずつ下向きに咲かせる。花弁と萼は5枚で、花弁の縁は糸状に細かく裂け、多数ある雄しべがよく目立つ。
・花の後にできる果実は直径1.5~2センチ程度でオリーブより小さく、複数が集まってできる。始めは緑色だが10~2月になると黒紫色に熟す。果実の中には種子を1粒含み、この表面には皺がある。 食用にする場合もあるが、オリーブオイルのようなものは抽出できない。
・樹高は最大で30m近くに達するものもあるが成長が遅く、多くは10mほどにとどまる。樹皮は灰褐色で滑らかだが、樹齢を重ねると「皮目」と呼ばれる皺が入り、不規則に剥離する。
・樹皮や根の皮にはタンニンが含まれており、染料として大島紬に使われる。材は器具や建築材として板や柱などに利用される。
【ホルトノキの育て方のポイント】
・寒さに弱く、植栽に適するのは関東以南となる。同じように暖地性であるクスノキよりもさらに寒さに弱い。関東地方では寒さのため冬季に葉の色があせることが多い。
・比較的、土質を選ばずに育ち、病害虫の被害も少ない。
・成長はゆっくりだが大木となる。剪定後の回復が遅いため、一度に大量の枝葉を落とすような剪定は避けたい。また、花は前年の枝に咲くため、花が目的であれば剪定は花の直後に限る。
【ホルトノキの近縁種】
・シマホルトノキ(シマホルト)
小笠原諸島に分布する近縁種で果実を食用する。葉は本種よりもやや小さく、5月中旬に紅葉した後、一斉に入れ替わる。樹高はより高く、老木では根元近くにコブを生じて小笠原特有の景観を作る。
・コバンモチ
近畿地方南部以西の暖地に見られる仲間で、葉柄は本種より長く、淡い黄色の花を咲かせる。葉は長さ6~10センチの幅が狭い楕円形。モチノキ及び昔のコインである小判になぞらえてコバンモチと命名された。より長い葉を持つナガバコバンモチもある。
【ヤマモモとホルトノキの見分け方】
・素人目には葉っぱがヤマモモに似ているが、ホルトノキは古い葉っぱが赤くなるという大きな特徴を持つことから、容易に見分けられる。ホルトノキの葉はヤマモモよりも大きく、縁にギザギザ(鋸歯)があることや、側脈の分かれ目に水かき状の膜がある点が異なる。
ホルトノキの基本データ
【分類】ホルトノキ科/ホルトノキ属
常緑広葉/高木
【漢字】膽八樹(ほるとのき)
【別名】モガシ/ズクノキ
オランダノキ
【学名】Elaeocarpus sylvestris
var.ellipticus
【英名】Horutonoki tree
【成長】やや遅い
【移植】やや難しい
【高さ】10~20m
【用途】公園/街路樹/社寺
【値段】500円~
庭木図鑑
植木ペディア


















