庭木図鑑 植木ペディア > スダジイ
スダジイ/すだじい
Suda-jii tree
【スダジイとは】
・福島県及び新潟県(佐渡)以西の日本全国に分布するブナ科の常緑広葉樹。一般的にはシイタケがなる木として、または食べられるドングリがなる木として知られ、古代には重要な食糧とされた。
・シイノキという木はなく、関東地方で単にシイノキという場合は本種を指し、関西ではツブラジイを指すのが一般的。沖縄では最も多く見られる樹種でありイタジイとも呼ばれる。自生は海辺の山野に多く、屋久島、西表島や済州島(韓国)にも見られる。
・スダジイは幹や枝が分岐しやすく、冒頭の画像のようにブロッコリー状の樹形になる。いわゆる「鎮守の森」を形成する代表的な樹種であり、地方では寺社に、都市部では屋敷や学校等に広く植えられる。スダジイが一本あるだけで大きな森があるように見え、アオダイショウなどの住処になっていることも。
・葉の裏側には年間を通じて黄色あるいは銀白色の毛が鱗状に生じ、街路から見上げると木全体が黄色や白に輝いて見えるのが特徴。
・スダジイの葉は長さ5~10センチ、幅4センチほどの楕円形で枝から互い違いに生じる。葉の先端は細く尖り、葉の縁の上半分は緩やかに波打つ。
・万葉集には「椎の葉に飯を盛る」という有馬皇子の歌があるが、それほど大きくない。地方によっては正月に葉を飾り、神の依代とする。
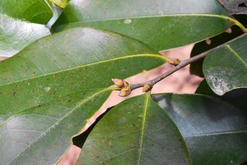
・スダジイの開花は5~6月。花には雌雄があり、雄花は新枝の基部から垂れ下がるため、比較的目に付きやすい。形も臭いもクリに似ており、人によって感じ方は様々だが、多くの場合その匂いは「臭い」と表現される。
・雌花は長さ5~10センチで雄花より短く、新枝の上部に屹立するが、花軸はやや大きな爪楊枝ほどの長さであり、興味がなければ目に入らない。スダジイの花言葉は不明。
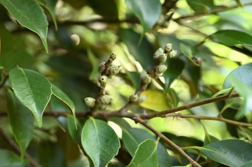
・できはじめの堅果(ドングリ)は、全体がスッポリと黄褐色の殻に包まれており、ドングリそのものは見えない。ドングリは開花から一年半もの月日を経て開花翌年の秋にようやく熟すと、自然に殻が割れて顔を出す。
・スダジイのドングリは長さ1~2センチほど。渋味はなく適度な甘さがあって生で食べられるが、カヤの実のように火で炙ると香味が増して美味しい。近代的な農業が始まる前、日本人はこれを食糧としていた。
・名前の由来としては、ドングリの形が「シタダミ(キサゴ)」という巻貝に似ていることから、シタシイ→シダジイに転化したという説があるものの、その真偽は判明しておらず漢字表記も定まっていない。
・別名のナガジイはツブラジイに比べて果実が細長いことから。なお、学名的にはツブラジイが基準で、スダジイはその変種扱いになる。
・成木の直径は普通60センチ~1m程度だが、中には4mを超す巨木もある。樹皮はコゲ茶色で、老木になると縦方向に剥離する。かつては樹皮に含まれるタンニンを利用して漁網を染めた。
・材は灰褐色あるいは黄褐色。重くて硬いが乾燥すると割れやすく、耐久性は低い。材木として利用されることは少なく、薪やシイタケ栽培用の榾木にされることが多いが、稀に器具、建築造作、枕木、床材、パルプ等に使われる。
・材木として利用しにくいことが幸いしてか、樹齢500年を超すような巨木が各地に残り、国や地方自治体の天然記念物に指定される。代表的な巨木は、宮城県亘理郡の称名寺、島根県松江市の志多備神社、伊豆の御蔵島などに存在するが、無名の巨木も各地の神社仏閣に多数残存する。
【スダジイの育て方のポイント】
・スダジイは成長が早く、放任すると大木になるため家庭で庭木として維持するには定期的な手入れが必要となる。剪定にはある程度耐えるが、剪定を繰り返すと寿命が縮まりやすく、都市部では強い剪定によって衰弱した老木も多い。特に寒さに向かう時期に強剪定を行うと木に対するダメージが著しい。
・経年によって腐朽菌が発生しやすく、木の内部が空洞化したり、幹や枝が朽ちたりすることもあるため、倒木や落下事故等には気を付けたい。
・葉の緑が濃く、幹も暗い色であるため、重厚な雰囲気(=鬱蒼とした感じ)になりがちで、狭い庭には向かない。また、スダジイの下は日陰になるため、他の植物を育てにくい。
【スダジイの品種】
・葉にクリーム色の模様が入る斑入り種や黄中斑種スダジイがあり、模様の入り方によってさらに細分される。主な品種は「神代イエローセンターズ」など。明るめの雰囲気を持つため現代的な住宅にも活用できるが流通量は少ない。
【スダジイとツブラジイの見分け方】
(葉の違い)
スダジイの方がツブラジイより大きく肉厚。また、スダジイの葉はツブラジイよりも色が濃く、裏面に細かな毛が密生している。ただし、葉には個体差があり、スダジイより大きい葉になるツブラジイもある。
(幹の違い)
スダジイの幹は比較的早期に縦の亀裂が入るが、ツブラジイの幹は滑らかで、亀裂が入るのは珍しく、入ったとしてもスダジイより浅いいといわれる。ただし、実際には樹齢を重ねると画像のように大差なく、樹皮で見分けるのは難しい。
(果実の違い)
ツブラジイの果実は名前のとおり円形(円ら=つぶら)に近く、小粒であるのに対して、スダジイの果実は卵形に近い。ただし、楕円に近いツブラジイもある。また、ツブラジイの別名であるコジイは、果実がスダジイより小さいことからきており、ツブラジイの果実が直径0.6~1.3センチであるのに対し、スダジイは1.2~2センチほどになる。
結局はドングリを見て見分けるのが確実だが、季節限定の話であり、この二つの区別はなかなか難しい。
|
|
スダジイの基本データ
【分類】ブナ科/シイ属
常緑広葉/高木
【成長】やや早い
【漢字】すだ椎(すだじい)
【別名】シイ/ナガジイ/イタジイ
【学名】Castanopsis sieboldii
ssp.sieboldii
【英名】Suda-jii tree
【移植】簡単
【高さ】10~25m
【用途】主木/垣根/街路樹
【値段】1500円~
庭木図鑑
植木ペディア





































![[商品価格に関しましては、リンクが作成された時点と現時点で情報が変更されている場合がございます。] [商品価格に関しましては、リンクが作成された時点と現時点で情報が変更されている場合がございます。]](https://hbb.afl.rakuten.co.jp/hgb/156d11a6.170a6ec9.156d11a7.672b4d46/?me_id=1237387&item_id=10000343&pc=https%3A%2F%2Fimage.rakuten.co.jp%2Fgardentown%2Fcabinet%2Fproduct_top%2Fcate01_products%2Fs3008%2Fs3008_15p_pp02.jpg%3F_ex%3D300x300&s=300x300&t=picttext)



